Obavijesti

News

Komentari 0

Lovkinja na oluje: 'Uragan Melissa nije moguć u Hrvatskoj, ali ima jedan fenomen tu blizu'

Lovkinja na oluje: 'Uragan Melissa nije moguć u Hrvatskoj, ali ima jedan fenomen tu blizu'

Hrvatska lovkinja na oluje Maja Kraljik objasnila nam je fenomen uragana Melisse koji u ovom trenutku hara Karibima i pokazala kako bi izgledao da se pojavi nad Jadranskim morem

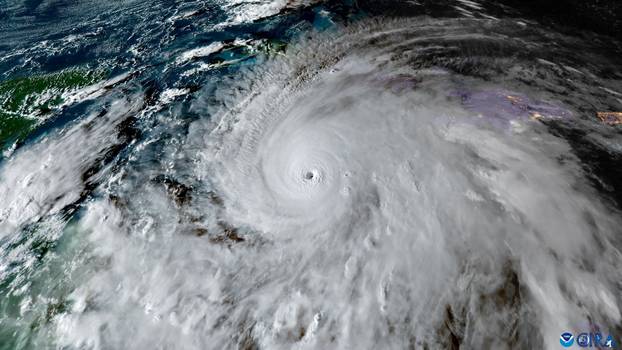
Uragan Melissa, jedna od najsnažnijih oluja na karipskom području, rano u srijedu stigla je na Kubu nakon što je prošla Jamajkom i primorala tamošnje vlasti da otočnu državu proglase zonom katastrofe. 

1048794449 High seas and strong winds batter eastern Cuba A satellite view shows Hurricane Melissa crossing Jamaica after making landfall
20

Melissa je blago oslabila do uragana treće kategorije prije no što je pogodila jugoistočnu obalu Kube, kod grada Chivirica, s vjetrovima brzine do 195 kilometara na sat. 

Kubanske vlasti objavile su da su pred uraganom evakuirale više od 735 tisuća ljudi. Hrvatska lovkinja na oluje Maja Kraljik objasnila nam je fenomen uragana Melisse koji u ovom trenutku hara Karibima i pokazala kako bi izgledao da se pojavi nad Jadranskim morem. 

 - Tropski ciklon (koji kad dostigne snagu uragana se u Atlantiku naziva „hurricane“) nastaje ako su ispunjeni određeni meteorološki uvjeti. Za početak, često postoji prethodna poremećena zračna masa – npr. tropska valuša („tropical wave“) ili zona niskog tlaka zraka koja potiče formiranje grmljavinskih oblaka. Ključno je da more bude dovoljno toplo, temperatura površine mora mora biti najmanje 26,5 °C (oko 50 m dubine) da potakne razvoj. Topla i vlažna zračna masa nad morem uzrokuje naglo podizanje zračnih masa, vlažni zrak se diže, hladi, dolazi do kondenzacije, oslobađa se latentna toplina, što pojačava uzlazne struje i dalje produbljuje sustav. Treći važan uvjet je nisko vertikalno smicanje vjetra (engl. vertical wind shear), ako su razlike vjetra s visinom velike, nastali sustav se “rasteže”, njeguje se slabljenje i ne može se dobro organizirati. Onda se formira zatvorena cirkulacija na donjim razinama, rastuće oluje usredotočene oko centra, često razvija “oko” (eye) kod jačih sustava - objašnjava nam hrvatska lovkinja na oluje.

Melissa je tijekom vikenda dodatno osnažila, pa nas je zanimalo kako se uragani 'hrane', kako postaju s vremenom jači nego što su bili na početku.

 - Sustav se “hrani” energijom iz mora, topla površina mora plus vlažan zrak čine gorivo. Dakle, kombinacija: toplo more + vlažan zrak + povoljne atmosferske prilike → uragan ili jak tropski ciklon.  Melissa je ojačala zbog fenomena rapid intensification (brzo/rapidno jačanje) i kod Melisse se dogodilo upravo to, sustav je dobio ogromnu snagu u kratkom vremenu. Slabo smicanje vjetra omogućuje vertikalnu strukturu da ostane uredno organizirana – to pomaže rastu.

POGLEDAJTE VIDEO:

Pokretanje videa...

Uragan Melissa 05:04

Kada je sustav u području izuzetno pogodnih uvjeta (mnogo tople vode, visok sadržaj vlage, slab otjecaj topline u gornje slojeve), može se intenzivno pojačati. Sporo kretanje koje znači da sustav ostaje nad toplim morem duže vrijeme i može “upijati” više energije, što dodatno pomaže. Ponekad se u vrlo jakim uraganima dogodi i proces zvan “eyewall replacement cycle” (ekvivalentni procesi reorganizacije u očima uragana) koji može dati privremenu slabost ali potom ponovno jačanje - objasnila nam je Maja Kraljik.

A satellite view shows Tropical Storm Melissa, over the Caribbean Sea

Laički rečeno: Uragan jača kada uvjeti omogućuju da ostane dobro organiziran i “napaja se” energijom iz mora, a ne bude poremećen vanjskim faktorima.

Melissa je u jednom trenutku dosegnula kategoriju 5.

 - Kod uragana pete kategorije (na skali Saffir–Simpson Hurricane Wind Scale) očekujemo karakteristike kao što su: Ekstremno visoke održane brzine vjetra (u slučaju Melissa navodilo se do 280 km/h u maksimumu, a već sad u trenutku pisanja ovog teksta zabilježen je udar vjetra od 403 km/h. Vrlo nizak središnji tlak, što ukazuje na vrlo duboku ciklonu/niski tlak u središtu. Za Melissu se navodio tlak oko 906 mb maksimum, u trenutku pisanja već je službeno zavedeno 892 mb. Velika širina sustava, snažna olujna polja, olujne (hurricane-force) vjetrove i znatnu zonu utjecaja. Izuzetno velike količine padalina i potencijal za katastrofalno poplave, bujice, klizišta – osobito ako se sustav kreće sporo. U Melissa slučaju predviđene padaline od 200-400 mm, lokalno i do 1000 mm. Takve uragane karakterizira i veliki olujni val (storm surge) na obali – kod uragana koji udare u kopno, posebno u niskim obalnim područjima. U slučaju Melissa najavljeni su dramatični valovi. Dugo trajanje intenziteta i mogućnost velikih šteta – zgrade ne dizajnirane za takve vjetrove lako stradaju (krovovi, fasade, rušenje stabla, infrastruktura). Posebno je važno istaknuti ako se sustav kreće sporo ili zaustavi, tada dulje ostaje na jednom području, što povećava kumulativni utjecaj: jači vjetrovi + mnogo padalina + dulje izlaganje - objasnila nam je lovkinja na oluje Kraljik. Ukratko, uragan pete kategorije je “vrh” intenziteta za takve sustave – ekstremni vjetar, ogromna količina vode (kiša/valovi), veliki prostor zahvata, potencijalna katastrofa.

Jača od Katrine

Zapadni mediji su Melissu već sada okarakterizirali čak i gorom od Katrine koja je uništila New Orleans 2005. godine. Naša sugovornica smatra da Melissa zaslužuje tu zlokobnu titulu.

 - Melissa je jedan od najjačih uragana ikada koji je pogodio to područje (u ovom slučaju Jamaica). To je zbog vrlo snažnog vjetra i niskog tlaka. Uragan se jako sporo kreće što logično znači da će dulje trajati i izazvati veću štetu. Melissa donosi ogromne količine padalina, a to dodatno pojačava rizik od poplava i klizišta. Melissa je jednostavno velika i zahvaća ogromno područje. U prilog joj idu i uvjeti u kojima djeluje, topla voda Kariba, slabo smicanje, vrijeme kada se sustav razvija – doprinose brzom i snažnom intenzitetu. Melissa ima veće razmjere za taj dio regije (Jamaica/Karibi) nego što je Katrina bila za New Orleans i okolno područje. No po dosadašnjim praćenjima, intenzitetu sustava i svime onime što donosi, Melissa je svakako jači sustav od Katrine. - rekla je Maja Kraljik i objasnila zašto se ovi uragani uvijek događaju na istom području.

 - Postoje “vruće točke” za formiranje jakih tropskih ciklona. To je zbog topline površine mora, tropskog / suptropskog položaja ( dovoljno sunčeve energije, blizina toplih područja), onda slabo do umjereno smicanje vjetra i dovoljna udaljenost od kopna da sustav ima “trajanje” i prostor za razvoj. Kada govorimo o specifičnim područjima to su: Atlantik – karipsko more, Meksički zaljev i područje srednjeg Atlantika – često generiraju uragane jer imaju vrlo toplo more i uvjete koji omogućuju razvoj. Isto tako, zapadni Pacifik, Indijski ocean – također vrlo aktivni za tropske ciklone / tajfune - objasnila nam je Maja Kraljik. 

Dugo traje

Posebna opasnost uragana je da dugo traju, da su spori. Tada se određeno područje nalazi na posebnom udaru što može izazvati i veću štetu, pogotovo ako se uragan 'zaustavi'.

 - Dulje trajanje izloženosti znači više padalina, više kumulativnog učinka na vodotokove, tlo i infrastrukturu - objasnila nam je lovkinja na oluje i dodala može li se predvidjeti kada će uragan završiti.

Strašne scene na otoku: Evo kako Jamajka izgleda nakon što ju je poharao uragan Melissa
Strašne scene na otoku: Evo kako Jamajka izgleda nakon što ju je poharao uragan Melissa

 - Predviđanje “kada će završiti” složeno je jer ovisi o smjeru i brzini kretanja (što svi meteorolozi prate), promjenama u uvjetima okoline (npr. ulazak u područje hladnijeg mora, ulazak u kopno, pojačanje smicanja) te sama interakcija s kopnom, reljefom, drugim vremenskim sustavima (npr. frontama, visokim tlakovima). Meteorološke službe (npr. National Hurricane Center – NHC) redovno izdaju prognoze puta i intenziteta, no uvijek postoji neizvjesnost, osobito kod sporo pokretnog sustava. U slučaju Melisse prognoza predviđa da će se početi okretati prema sjevero-istoku i povećati brzinu - objasnila je i dodala kada uragan završava.

 - Kad uragan stupi na kopno ili u hladnije vode, postupno slabi – to je prirodni kraj “života” tropskog ciklona. Tako da – da, predviđanje kada će “završiti” postoji u okvirima prognoze, ali uvijek s rezervom - objasnila nam je Kraljik.

Je li moguć u Hrvatskoj?

Draga sugovornica kaže da je kod ovog pitanja jako važno razlučiti određene pojmove.

 - U klasičnom smislu, uragan kategorije 5 kakav je Melissa u Karibima – izuzetno je malo vjerojatan u Hrvatskoj jer uvjeti nisu favorizirani kao u tropskim zonama. Međutim, postoji fenomen na Mediteranu zvan „medicane” (engl. Mediterranean hurricane) ili mediteranski tropski ciklon, koji može imati karakteristike tropskog ciklona, ali je obično manji, manje intenzivan, rjeđi. Za našu regiju (Hrvatska, Jadran) – uvjeti poput tople površine mora, smicanja vjetra, geometrije mora, blizine kopna, reljefa, uglavnom ne dopuštaju formiranje dugotrajnog uragana snage kategorije 5 - objasnila nam je Kraljik i dodala da se može formirati jaka oluja, s elementima medicane-tipa, ali ne istog “kalibra” kao što vidimo u tropskim zonama (uzrokovana warm-core tropskom strukturom, širokim razmjerima, velikim morem).

 - Znači ukratko, u Hrvatskoj je moguć ekstreman ciklon/oluja, ali ne klasični uragan kategorije 5 kakav se događa u Karibima - dodatno pojašnjava.

Zanimljivosti o uraganu

Hrvatska lovkinja na oluje otkrila nam je da je uragan formiran kao tropska val-perturbacija (tropical wave) koja je krenula sa zapadne Afrike krajem listopada, putovala Atlantskim oceanom, zatim u Karipsko more – a tamo su uvjeti bili idealni za intenziviranje.

 - Posebna “opasnost” izvjesna je zbog toga što dolazi u područje kao što je Jamajka, koje nikada u modernim zapisima nije imalo izravan udar kategorije 5 – po izvješćima. Sporo kretanje je dodatan znak opasnosti. Većina ljudi misli: “najveći problem je vjetar”, ali često je broj jedan problem kiša/poplavna voda/klizišta, a sporo kretanje povećava upravo taj rizik. U satelitskim snimkama Melissa ima vrlo definirano „oko“, što je pokazatelj visoke organiziranosti i snage - podrobno nam je objasnila Maja Kraljik i za kraj priložila fotografiju kako bi Melissa izgledala u našem Jadranskom moru.

 - Širina Jadranskog mora je oko 175 km, a trenutačna širina uragana Mellise je 315 km. Po ovoj fotografiji lako dolazimo do zaključka zašto se kod nas ne može dogoditi razvoj takvog sustava, što smo već spomenuli u tekstu te zbog kojih razloga - zaključila je cijenjena sugovornica.

Igre na sreću mogu izazvati ovisnost. 18+

Sve što je bitno, na dohvat ruke
Skini aplikaciju za najbolje iskustvo portala. Čitaj, komentiraj i budi uvijek u toku s najnovijim vijestima.
Komentari 0
Pogledajte unutrašnjost Putinove vile koja je navodno bila meta: Kič i zlato posvuda
SKRIVENA REZIDENCIJA

Pogledajte unutrašnjost Putinove vile koja je navodno bila meta: Kič i zlato posvuda

Nije rezidencija Valdai njegova najraskošnija. Ta titula vjerojatno bi pripala palači na Crnom moru.  Nije Valdai ni najsigurnija nekretnina koju Putin posjeduje. Ali mu je najdraža...
'Bili su dobra obitelj, pomagali su jedni drugima'. Psihologinja: 'Roditelji danas ostaju sami'
TRAGEDIJA U SUKOŠANU

'Bili su dobra obitelj, pomagali su jedni drugima'. Psihologinja: 'Roditelji danas ostaju sami'

Mladić bolovao od autizma. Mještani Sukošana su potreseni. To je dobra obitelj, kažu
Ledeno jutro: Temperature pale i do -14, evo kakvo nas vrijeme čeka tijekom novogodišnje noći
SMRZAVANJE ZA KRAJ GODINE

Ledeno jutro: Temperature pale i do -14, evo kakvo nas vrijeme čeka tijekom novogodišnje noći

Na Jadranu i u priobalju očekuje se vedro ili malo oblačno, dok će u unutrašnjosti prevladavati promjenjiva naoblaka. U istočnim krajevima rijetko je moguće i tek malo snijega.