PLUS+
News
Show
Sport
Life&style
Viral
Sci/Tech
Express
Prijava
Obavijesti
18+
News
Show
Sport
Life&style
Video
Express
PLUS+
News
Hrvatska
Crna kronika
Svijet
Rat u Ukrajini
Politika
Vrijeme
Kolumne
Kvaka24
Nestali
Reporteri
Startover
Ten T Mreza
Show
Muzika
Domaće zvijezde
Strane zvijezde
Reality
Filmovi i serije
Video
Videoteka
TV Program
Sport
Nogomet
HNL
Dinamo
Hajduk
Vatreni
Luka Modrić
Novak Đoković
MMA
Fight club
Rukomet
Formula 1
Vaterpolo
Košarka
Tenis
Atletika
Automoto
Skijanje
Ostali sportovi
Rasti aktivno
Life&style
Ljubav i seks
Zdravlje
Intervjui
Moda
Kviz
Ljepota
Bolja energija
Kuhanje
Obitelj
Dom
Savjeti za uštedu
Vrt
Putovanja
Psihologija
Astro
Retro
Viral
Viral fotke
Fun video
Misteriji
Dobre vijesti
Čudne vijesti
Životinje
Ljubimci
Sci/Tech
Internet
Gadgeti
Gaming
Auto
Umjetna inteligencija
Znanost
Bolje obrazovanje
Bolja energija
#Marketing
Express
Igre na sreću mogu izazvati ovisnost.
18+
Pridruži se
Kupi
Specijali
Koronavirus
Reforme odmah
Nestali
Zabava
Križaljke
Sudoku
Nik Titanik
Nik Sport
Cura dana
Kolumne
Sve kolumne
Tomislav Klauški
Boris Rašeta
Partnerski portali
miss7
Express
missZDRAVA
missMAMA
missGASTRO
JoomBoos
Poslovni dnevnik
Njuškalo
Večernji list
Pixsell
kvaka24
Obrtništvo
Elektroničko poslovanje
Biznis konferencija
Dobra praksa
Investicija & inspiracija
EUsmart
Startover
Imaš priču, fotografiju ili video?
Pošalji vijest na 24sata!
Impressum
Pretplata
Uvjeti korištenja
Pravila privatnosti
Oglašavanje
24sata.biz
Arhiva
Vrijeme
Politika kolačića
RSS
Karijera u 24
jamajka
Primaj sve nove vijesti o temi i budi u tijeku
Pratiš temu "jamajka"
Prestani pratiti temu
Prati temu
TKO IDE NA SP?
Drama u zoni Concacaf: Ni jedna reprezentacija uoči zadnjeg kola nije osigurala odlazak na SP
0
0
0
0
0
0
0
Komentari
0
Kopiranje linka
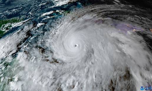
LJUDI U BOLI I PANICI
Slike užasa: Uragan Melissa sravnio gradove na Jamajci! 50 žrtava, za mnogima se traga...
0
0
0
0
0
0
0
8
7
Komentari
7
Kopiranje linka
SREDIŠTE OSTALO U MORU
Uragan Melissa: Broj žrtava raste, stižu humanitarni letovi
0
0
0
0
0
0
0
Komentari
0
Kopiranje linka
KATASTROFA NA KARIBIMA
FOTO Melisa ubila više od 30 ljudi i ostavila pustoš za sobom. Pogledajte kaos nakon uragana
0
0
0
0
0
0
0
6
Komentari
0
Kopiranje linka
MAJA KRALJIK ZA 24SATA
Lovkinja na oluje: 'Uragan Melissa nije moguć u Hrvatskoj, ali ima jedan fenomen tu blizu'
0
0
0
0
0
0
0
1
Komentari
0
Kopiranje linka
NAJSNAŽNIJI U POVIJESTI
SNIMKE UŽASA Uragan prošao kroz Jamajku. Stigao na Kubu!
0
0
0
0
0
0
0
2
Komentari
0
Kopiranje linka
RAZARAJUĆE POSLJEDICE
Strašne scene na otoku: Evo kako Jamajka izgleda nakon što ju je poharao uragan Melissa
0
0
0
0
0
0
0
4
12
Komentari
12
Kopiranje linka
POGLEDAJTE SNIMKE
VIDEO Oluja svih oluja pogodila Jamajku: 'Uragan će izmijeniti obalu otoka i život na njemu!'
0
0
0
0
0
0
0
2
4
Komentari
4
Kopiranje linka
NAJRAZORNIJA OLUJA U POVIJESTI OTOKA
VIDEO Čudovišni uragan udario Jamajku: 'To je najekstremnije što se može dogoditi planetu'
0
0
0
0
0
0
0
6
56
Komentari
56
Kopiranje linka
OPASAN PO ŽIVOT
Smrtonosan uragan Melissa se približava obali, a neki ne žele slijediti upute: 'Ne žalim otići'
0
0
0
0
0
0
0
Komentari
0
Kopiranje linka
IDE NA JAMAJKU
VIDEO Iz srca uragana Melissa. Pogledajte kataklizmične scene
0
0
0
0
0
0
0
Komentari
0
Kopiranje linka
URAGAN MELISSA
Oluja stoljeća! Najjači uragan nosi sve pred sobom. Premijer Jamajke: Molim na koljenima!
0
0
0
0
0
0
0
6
12
Komentari
12
Kopiranje linka
PRIPREME U TIJEKU
Superoluja postala je uragan. Jednoj od najsiromašnijih država na svijetu prijeti kaos
0
0
0
0
0
0
0
Komentari
0
Kopiranje linka
NA JAMAJCI
Pet osoba poginulo u pucnjavi na nogometnoj utakmici...
0
0
0
0
0
0
0
Komentari
0
Kopiranje linka
POGODIO I JAMAJKU
Pogledajte video iz središta razornog uragana Beryl: Nosi sve pred sobom, 10 je poginulih
0
0
0
0
0
0
0
Komentari
0
Kopiranje linka
VJETAR NOSI SVE PRED SOBOM
Pogledajte siloviti udar uragana na Jamajku, sve je više mrtvih: 'Užasno je, sve je nestalo...'
0
0
0
0
0
0
0
8
5
Komentari
5
Kopiranje linka
OSTAVLJA PUSTOŠ IZA SEBE
FOTO Uragan Beryl pogodio i Jamajku, oštećene brojne kuće. Broj poginulih skočio na osam
0
0
0
0
0
0
0
7
1
Komentari
1
Kopiranje linka
PORUKA PRINCU WILLIAMU
Premijer: Jamajka nastavlja dalje bez Britanskog Carstva
0
0
0
0
0
0
0
1
Komentari
0
Kopiranje linka
Iskoristi svoj Oranž
${title}
Preporučeni članci
${content}