URAGAN MELISSA
Oluja stoljeća! Najjači uragan nosi sve pred sobom. Premijer Jamajke: Molim na koljenima!
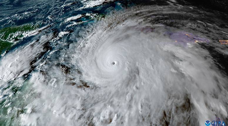
Jamajka se priprema za najjaču oluju na svijetu ove godine, uragan Mellisu koja bi kopno trebala pogoditi rano u utorak. S brzinama vjetra do 282 km/h, Melissa je uragan pete kategorije, maksimalne jačine. I još se pojačava
Jamajka se priprema za najjaču oluju na svijetu ove godine, uragan Mellisu koja bi kopno trebala pogoditi rano u utorak
Jamajka se priprema za najjaču oluju na svijetu ove godine, uragan Mellisu koja bi kopno trebala pogoditi rano u utorak
Molim se na koljenima", rekao je premijer Jamajke Andrew Holness medijima, dodavši da je bio u kontaktu sa svjetskim čelnicima. "Čini se da se cijeli svijet moli za Jamajku", rekao je.
Stručnjaci upozoravaju da bi spori tempo uragana mogao značiti produljene obilne kiše u nekim područjima, povećavajući rizik od smrtonosnih poplava i klizišta
Uragan Melissa donijet će 'katastrofalne i po život opasne brze poplave' na Jamajku, upozorava Nacionalni centar za uragane. Američka skupina očekuje između 40 i 80 cm kiše na Jamajci.
Očekuju se razorni vjetrovi do 209 km/h koji će uzrokovati nestanke struje i izolaciju zajednica