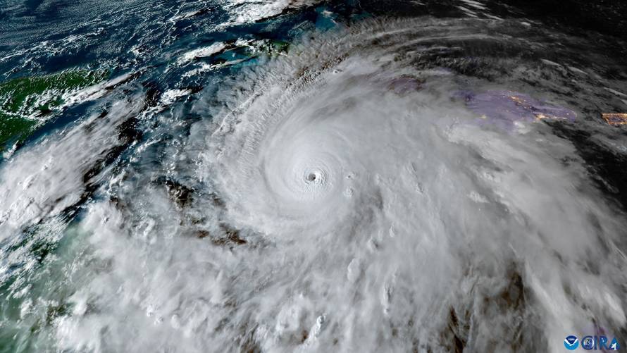
VIDEO Oluja svih oluja pogodila Jamajku: 'Uragan će izmijeniti obalu otoka i život na njemu!'
Melissa je na kopno stigla u utorak oko 13 sati kod mjesta New Hope, a posljedice su bile trenutačne i brutalne. Vjetar je kidao krovove s kuća i bolnica. Više od 240.000 kućanstava ostalo je bez električne energije