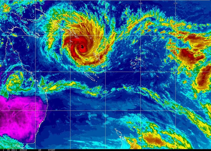
Prognostičari su već za srijedu ili četvrtak najavili vrhunac ciklona Yasi koji prema sjeveru Australije putuje iz južnog Pacifika. Vjetar će puhati i do 250 km na sat
Dramatična snimka iz zadarskog kanala: Tornadična pijavica!
Iz Vjesnika je opet sukljao dim
Iskoristi svoj Oranž